Details of record no: 100986

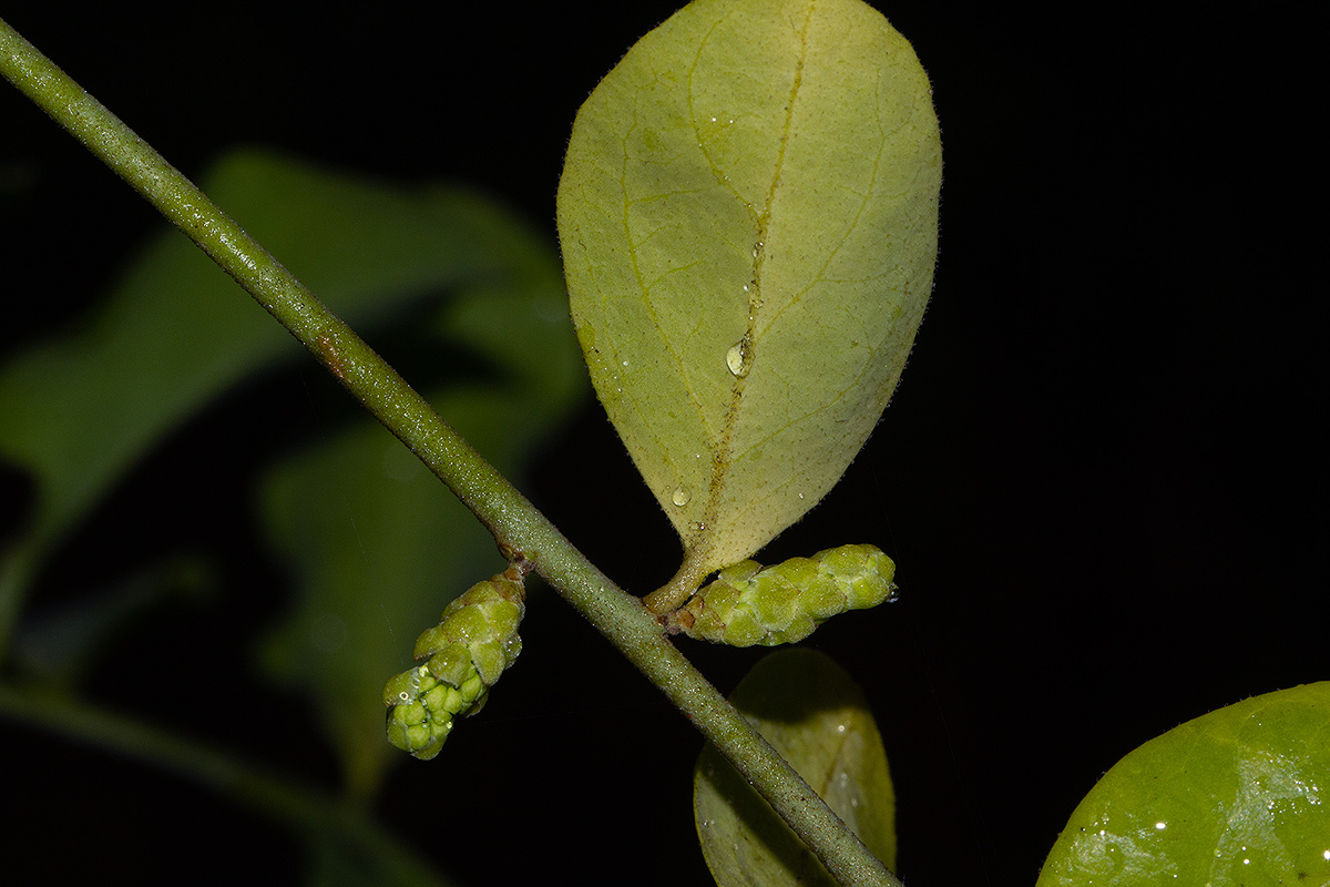
Opilia amentacea Roxb.

Three blocks of information are displayed on this page, namely: (a) details of the record; (b) the record point plotted using Google Maps and (c) any images attached to the record. Please scroll down to see the various items.

Record details:

Date: 29 Nov 2018
Recorder(s):BT Wursten
JA Massunde
IAI Nuvunga
GB Chindere
AA Amade
CF Nhancale
AF Wilssone
Collector(s):BT Wursten
BW2051
Determiner(s):BT Wursten
Confirmer(s):
Herbarium:EOWBL
Habitat: Miombo woodland
Location: Nhahomba area, Chimanimani National Reserve
Location code(s): 168
Outing code: 56
Planted code: Not planted
Country: Mozambique
Quarter Degree Square: 1933C1
Grid reference:
FZ divisions: MS
Altitude (metres): 580
Notes: BR specimen
Latitude, Longitude: -19.586050, 33.083060
Location Accuracy Code: 7

Map of species record

Images:

Image: 22

Opilia amentacea

Species id:121550
Image id:22
Image number:37409
Photographer: BT Wursten
Code 1 if image of a herbarium specimen:0
Herbarium in which image taken:
Code 1 if image not to be displayed:1
Image notes:

Image: 23

Opilia amentacea

Species id:121550
Image id:23
Image number:37410
Photographer: BT Wursten
Code 1 if image of a herbarium specimen:0
Herbarium in which image taken:
Code 1 if image not to be displayed:1
Image notes:

Image: 24

Opilia amentacea

Species id:121550
Image id:24
Image number:37411
Photographer: BT Wursten
Code 1 if image of a herbarium specimen:0
Herbarium in which image taken:
Code 1 if image not to be displayed:1
Image notes:

Image: 25

Opilia amentacea

Species id:121550
Image id:25
Image number:37412
Photographer: BT Wursten
Code 1 if image of a herbarium specimen:0
Herbarium in which image taken:
Code 1 if image not to be displayed:1
Image notes:

Image: 26

Opilia amentacea

Species id:121550
Image id:26
Image number:37413
Photographer: BT Wursten
Code 1 if image of a herbarium specimen:0
Herbarium in which image taken:
Code 1 if image not to be displayed:1
Image notes:

Image: 27

Opilia amentacea

Species id:121550
Image id:27
Image number:37414
Photographer: BT Wursten
Code 1 if image of a herbarium specimen:0
Herbarium in which image taken:
Code 1 if image not to be displayed:1
Image notes:

Image: 28

Opilia amentacea

Species id:121550
Image id:28
Image number:37415
Photographer: BT Wursten
Code 1 if image of a herbarium specimen:0
Herbarium in which image taken:
Code 1 if image not to be displayed:1
Image notes:

Image: 29

Opilia amentacea

Species id:121550
Image id:29
Image number:37416
Photographer: BT Wursten
Code 1 if image of a herbarium specimen:0
Herbarium in which image taken:
Code 1 if image not to be displayed:1
Image notes:

Copyright: Mark Hyde, Bart Wursten, Petra Ballings and Meg Coates Palgrave, 2007-25

Hyde, M.A., Wursten, B.T., Ballings, P. & Coates Palgrave, M. (2025). Flora of Mozambique: Individual record no: 100986: Opilia amentacea.
https://www.mozambiqueflora.com/speciesdata/species-record.php?record_id=100986, retrieved 28 December 2025

Site software last modified: 18 October 2025 12:29pm (GMT +2)
Terms of use