Details of record no: 97288

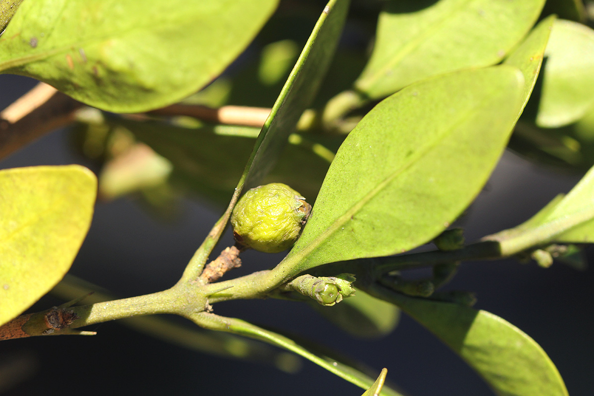
Empogona jenniferae Cheek

Three blocks of information are displayed on this page, namely: (a) details of the record; (b) the record point plotted using Google Maps and (c) any images attached to the record. Please scroll down to see the various items.

Record details:

Date: 30 Oct 2014
Recorder(s):BT Wursten
A Mapaura
JR Timberlake
I Chelene
H Chipanga
Collector(s):BT Wursten
BW1070
Determiner(s):MR Cheek
Confirmer(s):
Herbarium:K
BR
LMA
Habitat: On quartzite sandstone cliff at base of large rock
Location: Slopes of "Mt Chimanimani", western side Mevumodzi Valley, Eastern Chimaniamani Mts.
Location code(s): 168
Outing code: 33
Planted code: Not planted
Country: Mozambique
Quarter Degree Square: 1933C3
Grid reference:
FZ divisions: MS
Altitude (metres): 1577
Notes: Type specimen.
Small tree, c. 3 m high; leaves shiny dark green small and leathery; flowers white, hairy in the throat.
Latitude, Longitude:
Location Accuracy Code: 7

Map of species record

Records not available for display

Images:

Image: 1

Empogona jenniferae

Species id:229750
Image id:1
Image number:31151
Photographer: BT Wursten
Code 1 if image of a herbarium specimen:0
Herbarium in which image taken:
Code 1 if image not to be displayed:0
Image notes:

Image: 2

Empogona jenniferae

Species id:229750
Image id:2
Image number:31152
Photographer: BT Wursten
Code 1 if image of a herbarium specimen:0
Herbarium in which image taken:
Code 1 if image not to be displayed:0
Image notes:

Image: 3

Empogona jenniferae

Species id:229750
Image id:3
Image number:31153
Photographer: BT Wursten
Code 1 if image of a herbarium specimen:0
Herbarium in which image taken:
Code 1 if image not to be displayed:0
Image notes:

Image: 4

Empogona jenniferae

Species id:229750
Image id:4
Image number:31154
Photographer: BT Wursten
Code 1 if image of a herbarium specimen:0
Herbarium in which image taken:
Code 1 if image not to be displayed:0
Image notes:

Image: 5

Empogona jenniferae

Species id:229750
Image id:5
Image number:31155
Photographer: BT Wursten
Code 1 if image of a herbarium specimen:0
Herbarium in which image taken:
Code 1 if image not to be displayed:0
Image notes:

Image: 6

Empogona jenniferae

Species id:229750
Image id:6
Image number:31156
Photographer: BT Wursten
Code 1 if image of a herbarium specimen:0
Herbarium in which image taken:
Code 1 if image not to be displayed:0
Image notes:

Image: 7

Empogona jenniferae

Species id:229750
Image id:7
Image number:31157
Photographer: BT Wursten
Code 1 if image of a herbarium specimen:0
Herbarium in which image taken:
Code 1 if image not to be displayed:0
Image notes:

Copyright: Mark Hyde, Bart Wursten, Petra Ballings and Meg Coates Palgrave, 2007-25

Hyde, M.A., Wursten, B.T., Ballings, P. & Coates Palgrave, M. (2025). Flora of Mozambique: Individual record no: 97288: Empogona jenniferae.
https://www.mozambiqueflora.com/speciesdata/species-record.php?record_id=97288, retrieved 18 December 2025

Site software last modified: 18 October 2025 12:29pm (GMT +2)
Terms of use