
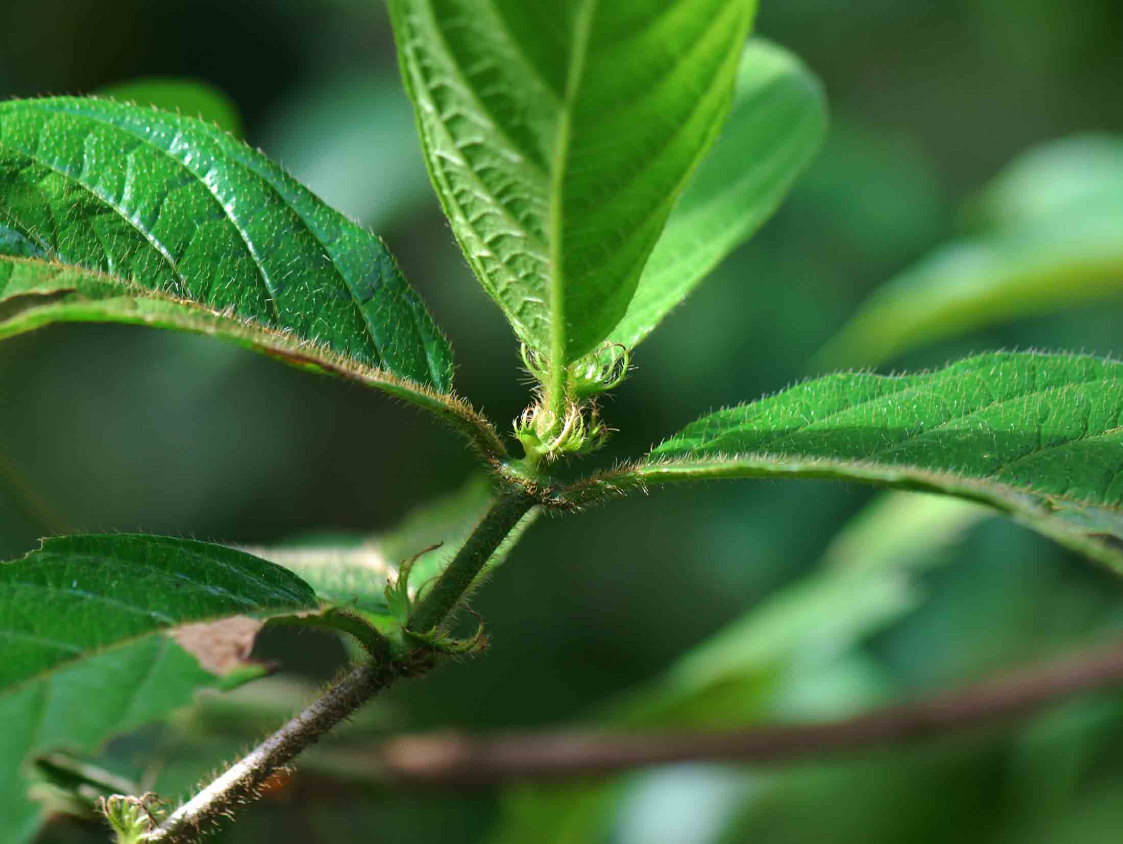
| Species id: | 156400 |
| Image id: | 1 |
| Image number: | 5174 |
| Photographer: | BT Wursten |
| Code 1 if image of a herbarium specimen: | 0 |
| Herbarium in which image taken: | |
| Code 1 if image not to be displayed: | 0 |
| Image notes: |
| Record id: | 21926 |
| Date: | 24 Apr 2008 |
| Recorder(s): | BT Wursten A Gardiner |
| Collector(s): | BT Wursten BW167 |
| Determiner(s): | BT Wursten |
| Confirmer(s): | |
| Herbarium: | BR |
| Habitat: | riverine forest |
| Location: | Muqueche River Bridge, Mt Namuli. |
| Location code(s): | 86 |
| Outing code: | |
| Planted code: | Not planted |
| Country: | Mozambique |
| Quarter Degree Square: | 1537A3 |
| Grid reference: | |
| FZ divisions: | Z |
| Altitude (metres): | 1280 |
| Notes: | |
| Latitude, Longitude: | -15.387747, 37.073178 |
| Location accuracy code: | 7 |