Details of record no: 30453

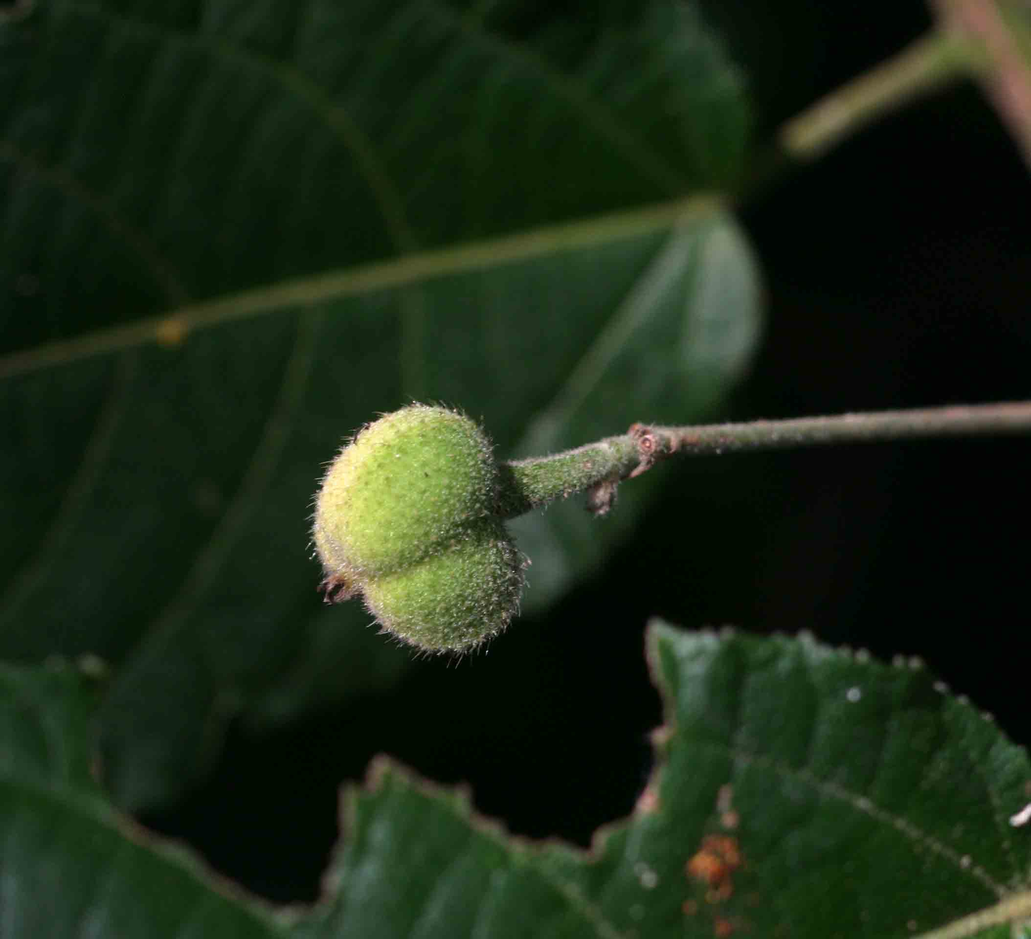
Mildbraedia carpinifolia (Pax) Hutch.
var. strigosa Radcl.-Sm.

Three blocks of information are displayed on this page, namely: (a) details of the record; (b) the record point plotted using Google Maps and (c) any images attached to the record. Please scroll down to see the various items.

Record details:

Date: 13 Mar 2007
Recorder(s):BT Wursten
M Coates Palgrave
P Ballings
Collector(s):
Determiner(s):M Coates Palgrave
Confirmer(s):
Herbarium:
Habitat: Understorey of sandforest
Location: Catapu Concession
Location code(s): 82
Outing code:
Planted code: Not planted
Country: Mozambique
Quarter Degree Square: 1835A1
Grid reference:
FZ divisions: MS
Altitude (metres): 89
Notes:
Latitude, Longitude: -18.041597, 35.207143
Location Accuracy Code: 6

Map of species record

Images:

Image: 1

Mildbraedia carpinifolia var. strigosa

Species id:175590
Image id:1
Image number:7585
Photographer: BT Wursten
Code 1 if image of a herbarium specimen:0
Herbarium in which image taken:
Code 1 if image not to be displayed:0
Image notes:

Image: 2

Mildbraedia carpinifolia var. strigosa

Species id:175590
Image id:2
Image number:7586
Photographer: BT Wursten
Code 1 if image of a herbarium specimen:0
Herbarium in which image taken:
Code 1 if image not to be displayed:0
Image notes:

Image: 3

Mildbraedia carpinifolia var. strigosa

Species id:175590
Image id:3
Image number:7587
Photographer: BT Wursten
Code 1 if image of a herbarium specimen:0
Herbarium in which image taken:
Code 1 if image not to be displayed:0
Image notes:

Copyright: Mark Hyde, Bart Wursten, Petra Ballings and Meg Coates Palgrave, 2007-25

Hyde, M.A., Wursten, B.T., Ballings, P. & Coates Palgrave, M. (2025). Flora of Mozambique: Individual record no: 30453: Mildbraedia carpinifolia.
https://www.mozambiqueflora.com/speciesdata/species-record.php?record_id=30453, retrieved 6 November 2025

Site software last modified: 18 October 2025 12:29pm (GMT +2)
Terms of use