Details of record no: 60334

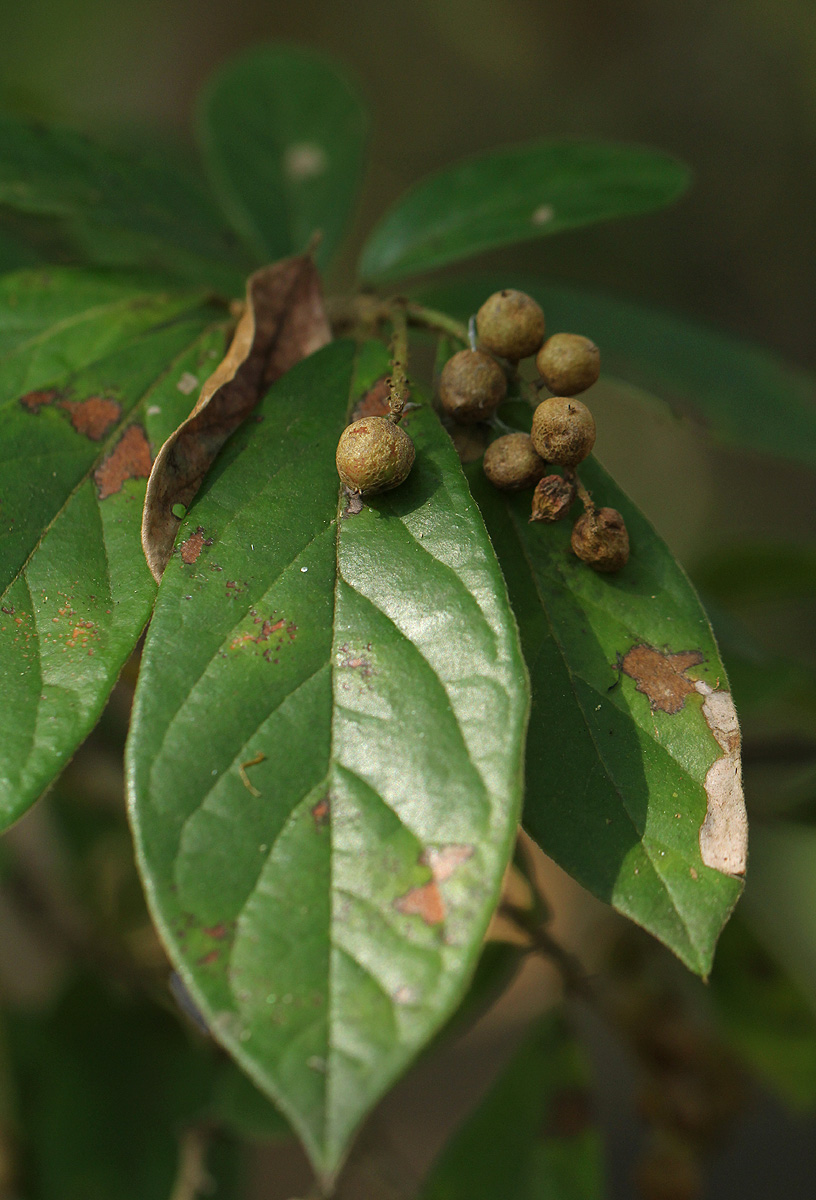
Antidesma venosum E. Mey. ex Tul.

Three blocks of information are displayed on this page, namely: (a) details of the record; (b) the record point plotted using Google Maps and (c) any images attached to the record. Please scroll down to see the various items.

Record details:

Date: 20 Jun 2014
Recorder(s):BT Wursten
Collector(s):
Determiner(s):BT Wursten
Confirmer(s):
Herbarium:
Habitat: Riverine forest fringe at pool in rocky riverbed
Location: Near Civetta Ranger Camp, Gorongosa National Park
Location code(s): 14
Outing code: 37
Planted code: Not planted
Country: Mozambique
Quarter Degree Square: 1834C3
Grid reference:
FZ divisions: MS
Altitude (metres): 111
Notes:
Latitude, Longitude: -18.937560, 34.192520
Location Accuracy Code: 7

Map of species record

Images:

Image: 18

Antidesma venosum

Species id:134560
Image id:18
Image number:18338
Photographer: BT Wursten
Code 1 if image of a herbarium specimen:0
Herbarium in which image taken:
Code 1 if image not to be displayed:1
Image notes:

Copyright: Mark Hyde, Bart Wursten, Petra Ballings and Meg Coates Palgrave, 2007-25

Hyde, M.A., Wursten, B.T., Ballings, P. & Coates Palgrave, M. (2025). Flora of Mozambique: Individual record no: 60334: Antidesma venosum.
https://www.mozambiqueflora.com/speciesdata/species-record.php?record_id=60334, retrieved 26 December 2025

Site software last modified: 18 October 2025 12:29pm (GMT +2)
Terms of use